Мы работаем с 10 до 20

 

 

Этот пациент поступил к нам в клинику с рваной раной основания левого уха. Мы решили помочь этому котейке и вот результат. Теперь этот котик находится на домашнем лечении под контролем врачей нашей клиники. Крепкого ему здоровья и быстрого выздоровления.

 


 

Знакомьтесь — это наш постоянный пациент Лосось. Конечно, ветеринарам хотелось бы встречаться с ним только на прививках. Но, увы, кот любит слопать что-нибудь совершенно несъедобное. Год назад ему уже делали две операции по извлечению инородных тел из кишечника. И вот опять хозяева рыжего вызвали бригаду врачей на дом. Лосось был в угнетённом состоянии. После УЗИ и анализов был поставлен диагноз: острое воспаление ЖКТ. К счастью, интенсивная терапия помогла, и кот полностью восстановился.


 

Вот что значит неудачно спрыгнуть с дивана. Это рентгеновские снимки одного из наших пациентов. Сначала хозяева обратили внимание на хромоту, а потом поняли, что у питомца очень болит лапа. Ещё бы не болело - поперечный перелом костей предплечья. Операция, установка DCP-пластины, восстановление, и он снова активный и жизнерадостный.

 


 

Этот пациент поступил к нам с кусаной раной левой грудной конечности После рентгенологического исследования обнаружили перелом костей предплечья. Сложность операции заключалось в том, что дистальный отросток лучевой кости был очень коротким. Хирургом нашей клиники было принято решение установить блокируемую lcp пластину. В данный момент пациент полностью восстановился..


 

Кот Феликс, поступил с неукротимой рвотой, после проведения ультразвукового исследования был поставлен диагноз: линейное инородное тело в желудочно-кишечном тракте.Хирургами нашей клиники проведена операция по удалению инородного тела. Сейчас Феликс идет на поправку и близок к полному восстановлению.


 

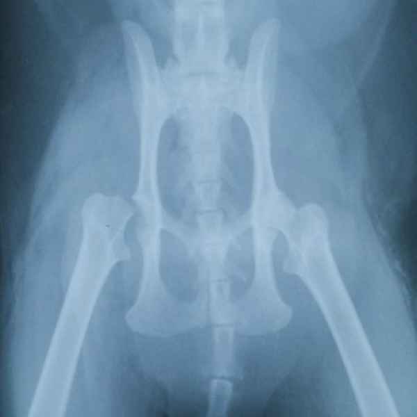
Этот пациент поступил к нам после падения с 14 этажа. На основании комплекса исследований ,была установлена полиорганная недостаточность, перелом головки бедренной кости и трех пястных костей. Прием причинял сильную боль ,ведь был перелом нижней челюсти. Нами было принято решение по установке эгофагостомы. Ежедневно проводилась инфузионная терапия и только после полной стабилизации животного была проведена хирургическая операция по восстановлению костей.